Az 1960-as évek végére világossá vált: Eger belvárosának közlekedésén módosítani kell. Túl nagy az Észak-Dél átmenő forgalom (pedig a Csebokszári – Északi lakótelep még meg sem volt). Több terv is készült, melyek közül kettőtől mára égnek áll az Egert ismerő haja.
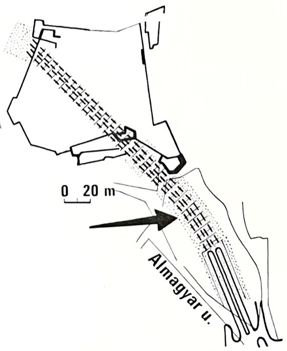
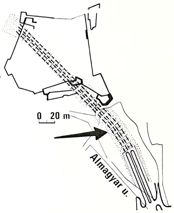
A legmeredekebb ötlet az volt, hogy az Almagyar utca felől az Egri Vár dombjának a belsejében alagutat fúrnak és a Dél felől érkező autósok ezen keresztül a Cifrakapu utca irányában mehetnek tovább Észak felé.
Hidrogeológiailag is agyrém volt, hiszen megbontotta volna a vár dombjának a vízrendszerét, ami egyébként is nagyon érzékeny. Hiszen a vár fölötti Sánc városrész alatti hegy belsejének vízrendszere a vár dombján keresztül is közlekedik a patak irányába. Jól mutatják ezt a vár alatt található pincék.
Kleb Béla professzorék részletesen megvizsgálták 1969 és 1973 között Eger város teljes földtani-talajmechanikai felépítését és a pincéket is felmérték. Így az információk birtokában tudták felhívni a figyelmet és megakadályozni, hogy ez a projekt megvalósuljon. Így ma is ép a vár környéke.
A többi lehetőség közül végül az Árpád – Koháry – Vörösmarty – “viadukt” változat valósult meg. A három lehetőséget szintén Kleb Béla könyvéből mutatjuk meg:

“Az épületek veszélyeztetése mellett számos példa akad a város területén a közutak alatti leromlott pinceállapot jelenlétére is. De gond a 25. főközlekedési út városi átkelési szakaszának – tehát a jövőnek a megoldása is.
Az 1968-ban tervezett három nyomvonal közül jelenleg a nyugati – Vörösmarty utca – tervezés és kivitelezés alatt áll. Ez a távlati igényeket nem tudja megoldani, de merjük remélni, hogy a vár alatti alagutas megoldás – melynek törlését munkánk egyik legszebb értékének tekintjük – nem fog ismét napirendre kerülni.” (344. oldal)
Sőt, egy korábbi megjegyzése is azt mutatja, hogy elkötelezettek mérnöktársaival, hogy megakadályozzák:
“1804-ben Sartory József – a város neves mérnöke – készít térképet a vár környékéről, a váromlásokról. Felhívja a figyelmet a Dobó bástya veszélyes állapotára. Javasoljra a bástya alacsonyabbra vételét és a vizek elvezetését. Igazán döbbenetes, hogy másfél évszázad alatt sem volt foganatja a figyelmeztetésnek – sőt az utóbbi időkben közúti alagúttal akarták e nemes helyet megbontani!” (206. oldal)
Végül miniszteri szinten dőlt el a dolog. Az ügybe közbeszólt Csanádi György közlekedési miniszter, egyetemi professzor is. Így ma is áll a vár, a Dobó bástya funkcionálisan felújítva, a Varkoch kapu újraépítve, az ágyúdomb pedig jelenleg építés alatt – sőt észak-keleti irányban be és átjárható a Zárkándi bástya! Szépül a vár.
Végül a miniszteri levél (forrás – szintén Kleb Béla: Eger múltja a jelenben c. könyve):
Huh, szóval Eger ezt megúszta. Persze, a forgalom kivezetése a városból azóta sem valósult meg rendesen. Most van készülőben új elkerülő út tervezése. Reméljük jó döntés születik mindenki számára…

